Lt 2 Harmony Road E North Dundas, Ontario K0C 2K0
$235,000
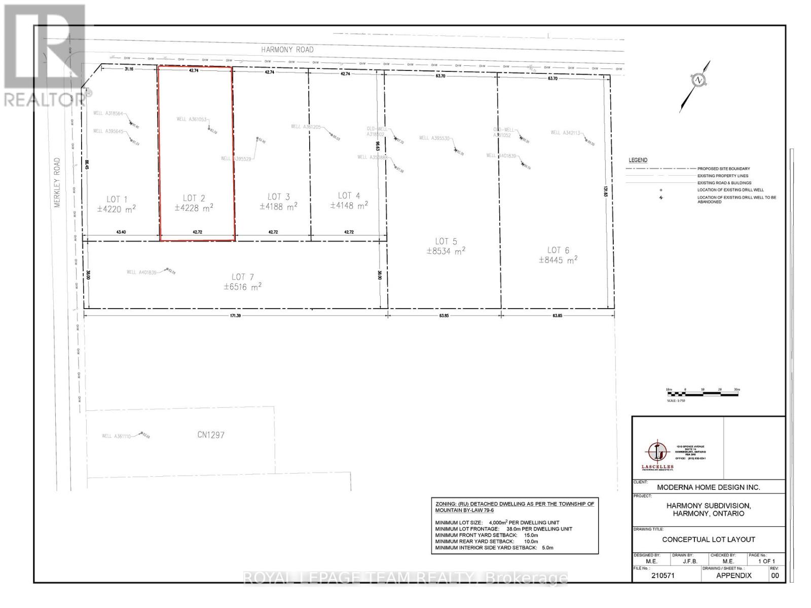
Build your custom dream home on Lot 2 in Winchester's Orchard Grove Development, a large 1 acre site close to the quaint and vibrant town of Winchester and the City Ottawa. Envision starting your day in modern elegance with cozy comforts, surrounded by peaceful nature. This property offers ample tree coverage to ensure privacy, complemented by an apple orchard landscape throughout the development. There is already a tested new well on the property making it easier to develop your land. Take advantage of this exceptional opportunity to build your future home in an idyllic setting. This property is also listed as a home to be built under MLS#X12972814. (id:43934)
Property Details
| MLS® Number | X12313241 |
| Property Type | Vacant Land |
| Community Name | 708 - North Dundas (Mountain) Twp |
Building
Land
| Acreage | No |
| Size Depth | 86.45 M |
| Size Frontage | 42.74 M |
| Size Irregular | 42.74 X 86.45 M |
| Size Total Text | 42.74 X 86.45 M|1/2 - 1.99 Acres |
Utilities
| Electricity | Available |
Contact Us
Contact us for more information








