Contact Us

2747 Chamberland Street Clarence-Rockland, Ontario K4K 0B2

4 Bathroom 22,278 sqft
Fully Air Conditioned Forced Air Acreage

$3,900,000

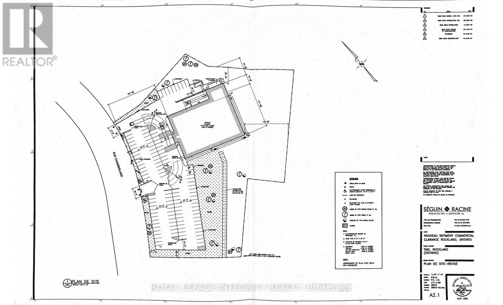
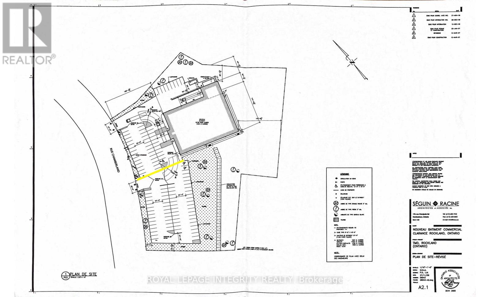
High-traffic freestanding retail/industrial building on ~2.5 acres in the growing community of Clarence-Rockland, ideally positioned to serve Ottawa and the Prescott-Russell region. The area is experiencing strong population growth, expanding residential development, and limited supply of large-format commercial space. Built in 2007, this fully serviced property features site lighting and approximately 60 paved parking spaces. The building totals 22,278 sq. ft., including 19,708 sq. ft. on the ground floor with a showroom offering an impressive 21-ft clear height and a 56-ft column span for flexible layouts. The second floor (2,569 sq. ft.) includes three offices, a boardroom, two washrooms, and a kitchenette. Additional ground floor space beneath the mezzanine includes washrooms, an electrical room, and storage.The property is equipped with a large drive-in side door and a rear loading dock. The loading ramp, originally designed for high-dock access, has been filled to grade but can be reinstated. Currently vacant, this property is ideal for an owner-user or investor. Commercial-Industrial zoning permits a wide range of uses including retail, warehouse, automotive, outdoor storage, and office. Sale subject to severance at the seller's cost to separate the adjacent 1.13-acre parcel with 55 parking spaces, also available for $999,999. The expansive parcel also offers additional development potential, capable of accommodating new retail or industrial construction, subject to approvals. The building area must be sold first, and may be sold with or without the lot. (id:43934)

Property Details

MLS® Number X12722372
Property Type Retail
Neigbourhood Rockland
Community Name 606 - Town of Rockland
Features Irregular Lot Size

Building

Bathroom Total 4
Cooling Type Fully Air Conditioned
Heating Fuel Natural Gas
Heating Type Forced Air
Size Interior 22,278 Sqft
Utility Water Municipal Water

Land

Acreage Yes
Size Depth 388 Ft ,9 In
Size Frontage 349 Ft ,4 In
Size Irregular 22278
Size Total 22278 Ac
Size Total Text 22278 Ac
Zoning Description Commercial Industrial

https://www.realtor.ca/real-estate/29281418/2747-chamberland-street-clarence-rockland-606-town-of-rockland

Contact Us

Contact us for more information


Generating Captcha

Your Favourites

 

No Favourites Found

 

Back to Top