00 County Road 15 Road Merrickville-Wolford, Ontario K0G 1N0
$1,750,000
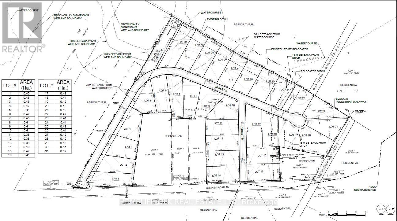
Located just 10 km south of the picturesque village of Merrickville, this exceptional country estate lot subdivision offers a rare opportunity for developers or investors. The property features 31 one-acre lots, each offering ample space for custom homes, with scenic rural views and the tranquility of the countryside. This fully approved subdivision is ready to move forward, with all detailed engineering complete and a subdivision agreement ready to sign. The hydro design is currently in process, ensuring a smooth transition for utilities. With a convenient 45-minute commute to Ottawa and just 25 minutes to Brockville, this location is ideal for those looking to escape the hustle and bustle while maintaining easy access to major urban centers. This is a rare opportunity to capitalize on a prime location with all the groundwork already in place. Whether you are a developer or an investor, this subdivision offers tremendous potential for growth and value. Don't miss out on this ready-to-build opportunity! Financing available. (id:43934)
Property Details
| MLS® Number | X12849156 |
| Property Type | Vacant Land |
| Community Name | 805 - Merrickville/Wolford Twp |
| Features | Irregular Lot Size |
Building
Land
| Acreage | Yes |
| Size Depth | 1819 Ft ,1 In |
| Size Frontage | 1785 Ft |
| Size Irregular | 1785 X 1819.09 Ft ; Yes |
| Size Total Text | 1785 X 1819.09 Ft ; Yes|25 - 50 Acres |
Utilities
| Cable | Available |
| Electricity | Available |
Contact Us
Contact us for more information



