0 Cranberry Lake Road Frontenac, Ontario K0H 0B6
Acreage
$47,900
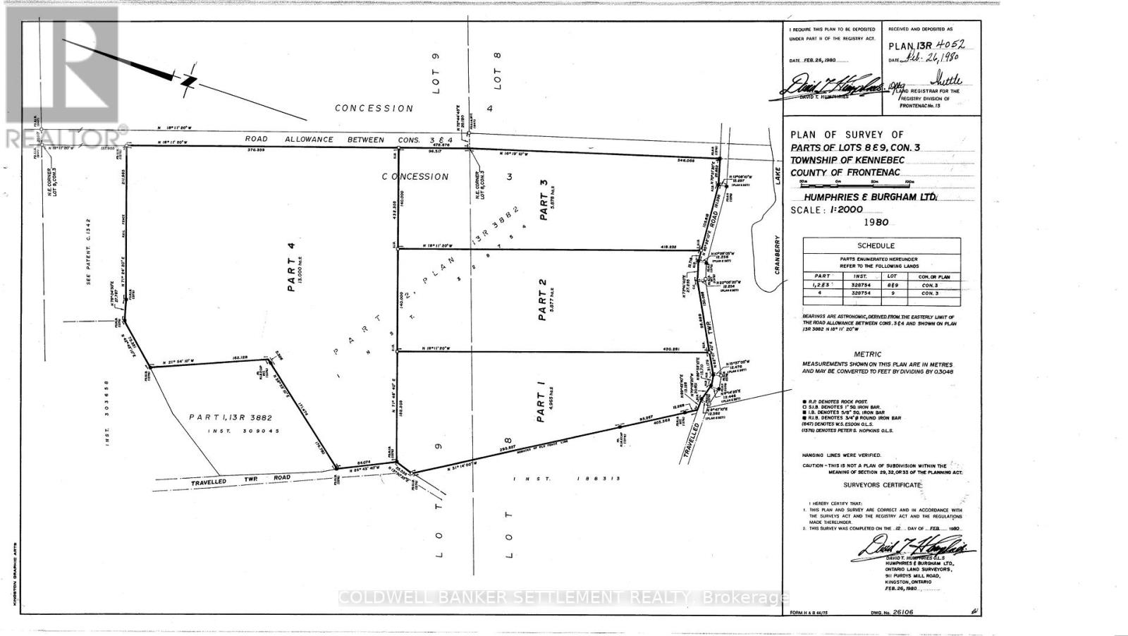
Just over 12 Acres in Central Frontenac. North West corner has just over 80 feet of frontage on Cranberry lake road and is quite elevated overlooking expansive wetlands. South boundary of lot has approximately 265 feet of frontage on Cranberry lake Road and is level with views of a large pond. Ideal, affordable weekend get away. Hydro at the property line (id:43934)
Property Details
| MLS® Number | X12503054 |
| Property Type | Vacant Land |
| Community Name | 45 - Frontenac Centre |
Building
Land
| Acreage | Yes |
| Size Depth | 1322 Ft |
| Size Frontage | 265 Ft |
| Size Irregular | 265 X 1322 Ft |
| Size Total Text | 265 X 1322 Ft|10 - 24.99 Acres |
| Zoning Description | Rural |
Utilities
| Electricity | Available |
Contact Us
Contact us for more information














